Działki budowlane – Włoszakowice, Akacjowa

  • 160 500PLN
Włoszakowice, gmina Włoszakowice, powiat leszczyński, województwo wielkopolskie, 64-140, Polska
Sprzedaż

Działki budowlane – Włoszakowice, Akacjowa

Włoszakowice, gmina Włoszakowice, powiat leszczyński, województwo wielkopolskie, 64-140, Polska
  • 160 500PLN

Tytuł

  • Budowlana
  • Typ działki
  • Działki i grunty
  • Typ nieruchomości
  • 669
  • Działka m²

Opis

Na sprzedaż działki budowlane w super lokalizacji – Włoszakowice, ul. Akacjowa.
Wydane warunki zabudowy. Dostępne media. Niezwykle malownicza okolica.
Kilkaset metrów do rozległych lasów. 10 min rowerem do jez. Dominickiego. 2 min autem do centrum Włoszakowic. Zapraszamy!

Cena:
240 zł / m2 (w tym VAT 23%)
Kupujący nie płaci prowizji dla biura

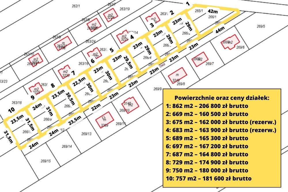
–  działka nr 1 – pow. 862 m2 – 206 800 zł brutto
–  działka nr 2 – pow. 669 m2 – 160 500 zł brutto
–  działka nr 3 – pow. 675 m2 – 162 000 zł brutto (REZERWACJA)
–  działka nr 4 – pow. 683 m2 – 163 900 zł brutto (REZERWACJA)
–  działka nr 5 – pow. 689 m2 – 165 300 zł brutto
–  działka nr 6 – pow. 697 m2 – 167 200 zł brutto
–  działka nr 7 – pow. 687 m2 – 164 800 zł brutto
–  działka nr 8 – pow. 729 m2 – 174 900 zł brutto
–  działka nr 9 – pow. 750 m2 – 180 000 zł brutto
–  działka nr 10 – pow. 757 m2 – 181 600 zł brutto

Numeracja działek widoczna na mapce w galerii zdjęć

Lokalizacja:
–  Włoszakowice, ul. Akacjowa (wjazd od ul. Wolności)
–  zob. mapkę w galerii zdjęć

Typ nieruchomości:
–  działki budowlane
–  wydane warunki zabudowy dla budynków mieszkalnych jednorodzinnych wraz z instalacjami oraz niezbędną infrastrukturą

Stan prawny:
–  pełna własność działek z księgą wieczystą
–  udział w prawie własności drogi wewnętrznej

Powierzchnia i wymiary:
szczegółowe powierzchnie i wymiary działek widoczne na mapce w galerii zdjęć

Media:
–  skrzynki energetyczne posadowione na działkach
–  sieć wodociągowa w drodze wewnętrznej, na wysokości działek
–  szambo do wykonania we własnym zakresie

Dojazd:
–  dojazd wewnętrzną drogą gruntową
–  droga przejezdna przez cały rok
–  200 m do drogi asfaltowej

Otoczenie:
–  nowe osiedle, położone w zacisznej lokalizacji
–  500 m do lasu z urokliwymi jeziorami
–  1500 m do centrum Włoszakowic
–  5 km nad jez. Dominickie
–  do centrum większość trasy prowadzi ścieżką rowerową i chodnikiem
–  bardzo blisko ścieżka rowerowa Włoszakowice –  Dominice

Zakup bez prowizji dla biura. Zapraszamy!
Bliższe informacje pod nr telefonu 609 767 234.

Video

Szczegóły

Zaktualizowano na 26 listopada, 2025 w 6:37 pm
  • Cena: 160 500PLN
  • Pow. terenu: 669 m²
  • Typ nieruchomości: Działki i grunty
  • Stan nieruchomości: Sprzedaż
  • Typ działki: Budowlana
  • Media: woda, prąd
  • Dojazd: polny
  • Okolica: las, otwarty teren
  • Adres Włoszakowice, gmina Włoszakowice, powiat leszczyński, województwo wielkopolskie, 64-140, Polska

Compare listings

Porównać
Maciej Majorczyk
  • Maciej Majorczyk