Bliźniak gotowy do zamieszkania – Włoszakowice

  • 695 000PLN
Włoszakowice, gmina Włoszakowice, powiat leszczyński, województwo wielkopolskie, 64-140, Polska
Sprzedaż

Bliźniak gotowy do zamieszkania – Włoszakowice

Włoszakowice, gmina Włoszakowice, powiat leszczyński, województwo wielkopolskie, 64-140, Polska
  • 695 000PLN

Tytuł

  • 5
  • Pokoje
  • 93
  • Typ działki
  • Domy
  • Typ nieruchomości
  • 270
  • Działka m²

Opis

Na sprzedaż atrakcyjny, gotowy do zamieszkania lokal bliźniaczy – Włoszakowice, ul. Wiosenna 51A.
W cenie całość umeblowania i wyposażenia nieruchomości.

Atrakcyjny projekt – aż 5 pokoi, z czego 2 na parterze oraz 2 łazienki.
Wszystkie media. Ogrzewanie gazem z sieci. Niskie koszty utrzymana nieruchomości.
Zadbany i gustownie urządzony budynek w bardzo ładnej i zacisznej lokalizacji.
Cena do negocjacji. Zakup bez prowizji dla biura. Zapraszamy!

Cena:
695 000 zł
Kupujący nie płaci prowizji dla biura

Lokalizacja:
–  Włoszakowice, ul. Wiosenna 51A
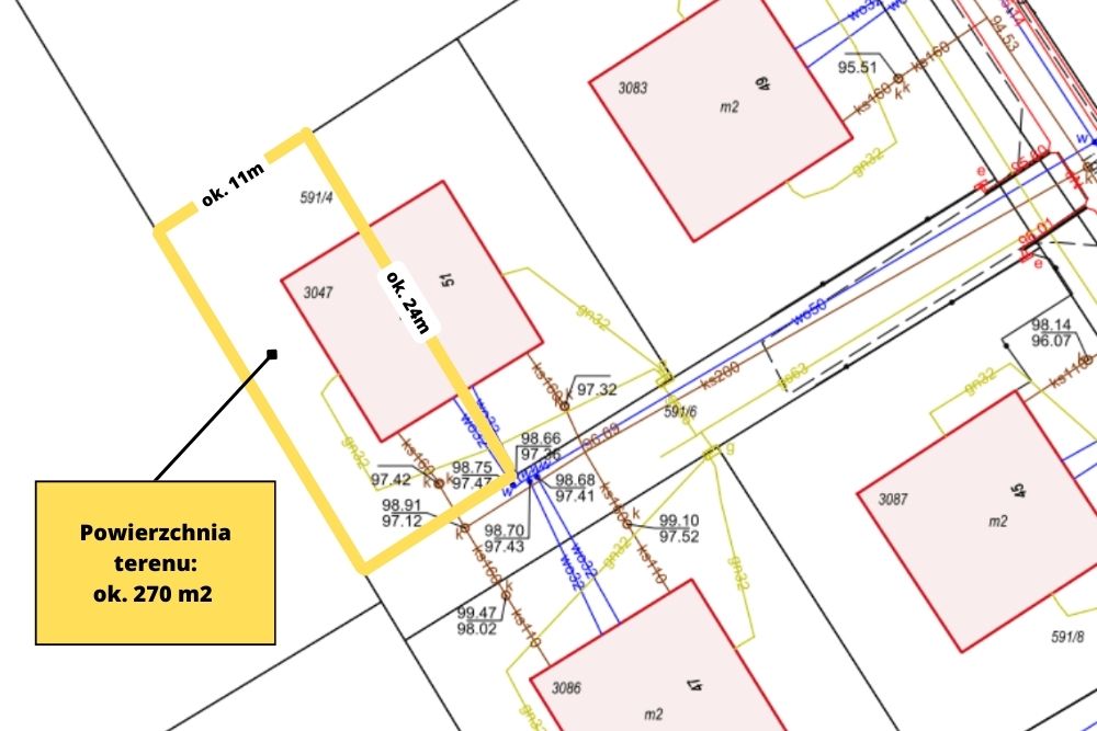
–  działka nr 591/4 , obręb ewid. Włoszakowice
–  zob. mapkę w galerii zdjęć

Typ budynku:
–  lokal bliźniaczy składający się z parteru i poddasza
–  do lokalu przynależy działka na wyłączność

Stan budynku:
–  lokal wykończony i umeblowany, gotowy do wprowadzenia
–  działka zagospodarowana

Forma władania:
–  pełna własność lokalu z własną księgą wieczystą
–  udział w prawie własności działki (1/2)
–  prawo do wyłącznego użytkowania lewej strony działki (zapisane w księdze wieczystej)
–  udział w prawie własności drogi wewnętrznej

Pow. lokalu:
–  93,75 m2 powierzchni użytkowej
–  ok. 100 m2 po podłogach

Pow. działki przynależnej do lokalu:
–  pow. działki: ok. 270 m2 (przynależna do lokalu na wyłączność)
–  wymiary działki widoczne w galerii zdjęć

Media:
gaz (z sieci), prąd, woda, kanalizacja

Rok budowy:
budynek z 2020r.

Wykaz pomieszczeń:
PARTER:
–  salon, aneks kuchenny, sypialnia, łazienka, hol, wiatrołap
–  zadaszony taras 16 m2
PODDASZE:
–  3 sypialnie, łazienka, korytarz
–  balkon z balustradą (wyjście z dwóch sypialni)
STRYCH:
–  duża powierzchnia magazynowa, z oknem dachowym
–  całość pokryta podłogą drewnianą

Kuchnia:
–  częściowo połączona z salonem, z wyspą
–  dobrze doświetlona
–  w cenie meble, piekarnik, zmywarka, płyta indukcyjna, mikrofalówka

Łazienka:
–  na parterze łazienka z prysznicem
–  na poddaszu łazienka z wanną i pralką

Ogrzewanie:
–  piec gazowy przepływowy 2-funkcyjny (gaz z sieci)
–  w sypialniach grzejniki
–  na pozostałej powierzchni ogrzewanie podłogowe

Instalacje:
–  instalacja antenowa TV na parterze i na poddaszu
–  monitoring

Drzwi, okna, parapety:
–  drzwi zewnętrzne metalowe, antywłamaniowe
–  okna plastikowe, 3-szybowe
–  okno tarasowe suwane
–  w oknach rolety zewnętrzne (w balkonowych i tarasowych elektryczne)
–  na zewnątrz parapety metalowe powlekane
–  wewnątrz parapety PCV

Ściany i sufity:
–  ściany i sufity szpachlowane, malowane
–  tynki maszynowe gipsowe

Podłoga:
–  parter – płytki na całej powierzchni
–  poddasze – w łazience płytki; panele na pozostałej powierzchni

Schody:
schody wewnątrz budynku wiszące drewniane

Dach:
dach kryty dachówką ceramiczną

Elewacja:
tynk zewnętrzny silikonowo-silikatowy

Materiał konstrukcyjny i ocieplenie:
–  budynek z cegły ceramicznej
–  strop pomiędzy parterem a poddaszem betonowy
–  zewnętrzne ocieplenie ścian styropianem gr. 15 cm
–  ocieplenie poddasza z wełny mineralnej gr. 25 cm

Działka:
–  działka o pow. ok. 270 m2 (przynależna do lokalu)
–  działka płaska
–  szopka narzędziowa posadowiona na płycie betonowej
–  od frontu chodnik i utwardzony parking
–  działka ogrodzona

Dojazd:
–  droga wewnętrzna utwardzona tłuczniem
–  następnie dojazd oświetloną drogą gminną
–  ok. 80 m do drogi asfaltowej

Otoczenie budynku:
–  piękna pagórkowata okolica
–  wokół zabudowa mieszkaniowa, lasy i pola uprawne

Odległości:
–  500 m do lasu (rozległe lasy państwowe)
–  800 m do centrum Włoszakowic
–  5 km do Boszkowa
–  14 km do trasy S5

Umeblowanie w cenie:
w cenie całość umeblowania i wyposażenia lokalu

Dodatkowe zalety:
–  budynek znakomicie nadaje się dla 3-5 osobowej rodziny
–  oddzielenie części dziennej (parter) od części sypialnej (piętro)
–  wysokie skosy na poddaszu
–  duża powierzchnia magazynowa na strychu
–  niewielkie koszty ogrzewania budynku (sprawdzono w praktyce)
–  bardzo malownicza okolica

Dostępność lokalu:
termin wydania lokalu do uzgodnienia


Zakup bez prowizji. 
Zapraszamy!
Bliższe informacje pod nr telefonu 609 767 234.

Video

Szczegóły

Zaktualizowano na 19 grudnia, 2025 w 10:08 am
  • Cena: 695 000PLN
  • Pow. nieruchomości: 93 m²
  • Pow. terenu: 270 m²
  • Pokoje: 5
  • Rok budowy: 2020
  • Typ nieruchomości: Domy
  • Stan nieruchomości: Sprzedaż
  • Rynek: Wtórny
  • Rodzaj zabudowy: Bliźniak
  • Liczba pięter: Parterowy
  • Materiał budowlany: Cegła
  • Poddasze: Użytkowe
  • Stan: Do zamieszkania
  • Zabezpieczenia: monitoring/ochrona
  • Ogrzewanie: gazowe
  • Media: woda, prąd, kanalizacja, gaz
  • Dojazd: utwardzony
  • Okolica: las, otwarty teren
  • Dach: Skośny
  • Pokrycie dachu: Dachówka
  • Okna: Plastikowe
  • Położenie: Wieś
  • Adres Włoszakowice, gmina Włoszakowice, powiat leszczyński, województwo wielkopolskie, 64-140, Polska

Podobne nieruchomości

Compare listings

Porównać
Maciej Majorczyk
  • Maciej Majorczyk